São Paulo | 22ºC
Sex, 27 de Março
Menu
Menu
Busca
Menu
Últimas Notícias
Mega Sena
Curiosidades
Educação
Cidades
Cotidiano
Dicas da Baixada
Entretenimento
Economia
Esportes
Automotor
Receitas
Política
Saúde
Tecnologia
Busca
Menu
Cotidiano
Operação Bazaar
Operação Bazaar: MP e PF combatem corrupção policial e lavagem de dinheiro em SP
Esquema envolvia policiais civis que protegiam doleiros em troca de propina, com prisões e apreensões em delegacias e endereços ligados ao crime.
16h25
05 mar 2026
Horóscopo
Horóscopo do dia 4 de março de 2026: previsões astrais para todos os signos nesta quarta-feira
Descubra as influências celestes que marcam o dia de hoje, com orientações para amor, carreira e saúde em um contexto pós-eclipse lunar que pede equilíbrio e reflexão prática.
08h51
04 mar 2026
Mega-Sena
Bolão do Ceará acerta as seis dezenas da Mega-Sena 2979 e leva R$ 158 milhões em Eusébio
Grupo de cinco cotas divide prêmio recorde do ano em aposta simples de R$ 6, movimentando a economia local e reacendendo sonhos de sorte entre apostadores brasileiros.
08h35
04 mar 2026
Clima
Desastres climáticos no Brasil afetaram 336,6 mil pessoas em 2025 e ampliam pressão por prevenção e resposta
Relatório do Cemaden aponta impactos humanos e perdas econômicas com eventos extremos; dados reforçam prioridade para gestão de risco e adaptação.
10h00
28 fev 2026
CLT
Governo adia regra do trabalho em feriados no comércio, prevista para 1º de março, e mantém negociação atual por 90 dias
Prorrogação da Portaria 3.665/2023 preserva acordos em vigor enquanto comissão com trabalhadores e empresas tenta fechar um texto de consenso.
10h55
27 fev 2026
Segurança
Roubos de veículos em SP caem 41% em janeiro, e furtos recuam 12,9%; SSP atribui resultado a combate a desmanches
Números divulgados pela SSP mostram o menor patamar para roubos em janeiro em 26 anos; ações contra receptação e desmonte ilegal entram no foco.
10h40
27 fev 2026
Migração
Quase 8 mil mortes em rotas migratórias em 2025 expõem falhas de resgate e ampliam pressão por vias legais
Dado da OIM aponta 7.667 mortos ou desaparecidos e sugere subnotificação; cortes de financiamento e rotas marítimas seguem no centro da crise.
08h00
27 fev 2026
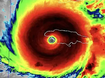
Furacão
Furacão Melissa é confirmado no relatório final como o mais intenso do Atlântico em ventos sustentados, diz NHC
Documento do Centro Nacional de Furacões consolida dados de aeronaves e satélite e reposiciona o Melissa entre os recordes históricos do oceano.
11h22
26 fev 2026
Horóscopo
Horóscopo do dia 26 de fevereiro: o que a astrologia aponta para trabalho, finanças e relações nesta quinta-feira
Com Mercúrio retrógrado em Peixes, o dia tende a pedir revisão de planos, mais clareza na comunicação e cautela com decisões apressadas.
08h49
26 fev 2026
Operação
Polícia Militar realiza operação no Complexo da Maré com 200 agentes e blindados contra tráfico e roubos
A ação na Zona Norte do Rio mobiliza forças especiais em seis comunidades, com apreensões de armas e feridos no confronto inicial.
08h36
26 fev 2026
←
Anterior
Página 5
Próxima
→